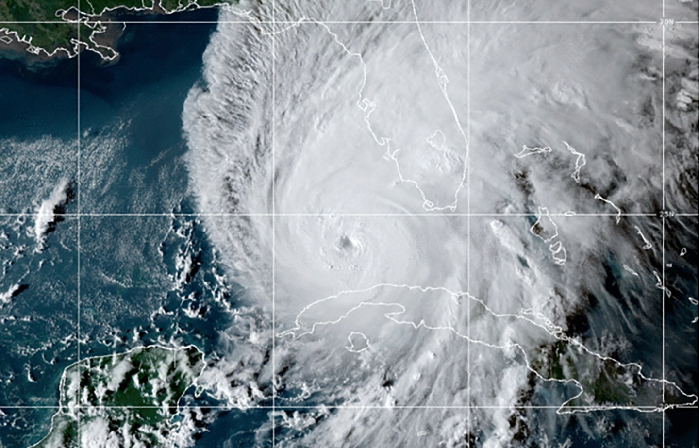
Hurricane Ian rapidly intensified off Florida’s southwest coast Wednesday morning, gaining top winds of 155 mph (250 kph), just shy of the most dangerous Category 5 status. Damaging winds and rain lashed the state’s heavily populated Gulf Coast, with the Naples to Sarasota region at “highest risk” of a devastating storm surge.
U.S. Air Force hurricane hunters confirmed Ian gained strength over warm Gulf of Mexico water after battering Cuba, bringing down the country’s electricity grid and leaving the entire island without power. Ian was centered about 65 miles (105 kilometers) west-southwest of Naples at 7 a.m., swirling toward the coast at 10 mph (17 kph).
“This is going to be a nasty nasty day, two days,” Florida Gov. Ron DeSantis said early Wednesday. “This is going to be a rough stretch.”
The massive storm appeared on track to slam into the Florida’s southwestern Gulf coast somewhere north of Fort Myers and some 125 miles (201 kilometers) south of Tampa, sparing the bay area from a rare direct hit from a hurricane. The Fort Myers area is popular with retirees and tourists drawn to pristine white sandy beaches and long barrier islands, which forecasters said could be completely inundated.
The hurricane center warned of catastrophic storm surges raising the water level as much as 12 feet (3.6 meters) to 16 feet (4.9 meters) above ground level for coastal areas straddling Punta Gorda and Fort Myers, which are between Naples and Sarasota.
More than 2.5 million people were under mandatory evacuation orders, but by law no one could be forced to flee. Florida residents rushed ahead of the impact to board up their homes, stash precious belongings on upper floors and join long lines of cars away from the shore.
“You can’t do anything about natural disasters,” said Vinod Nair, who drove inland from the Tampa area Tuesday with his wife, son, dog and two kittens seeking a hotel in the tourist district of Orlando. “We live in a high risk zone, so we thought it best to evacuate.”
Winds exceeding tropical-storm strength of 39 mph (63 kph) reached Florida by 3 a.m. and the first hurricane-force winds were recorded by 6 a.m., well in advance of the eyewall moving inland, the Miami-based center said. Rainfall near the area of landfall could top 18 inches (46 centimeters).
Overnight, Hurricane Ian went through a natural cycle when it lost its old eye and formed a new eye. The timing of this is bad for the Florida coast because it means the storm got stronger and larger hours before it was set to make landfall, making it even more of a menace. Ian went from 120 mph (193 kph) to 155 mph (250 kph) in just three hours, the second round of rapid intensification in the storm’s life cycle.
“With the higher intensity you’re going to see more extensive wind damage. The larger wind field means that more people will experience those storm-force winds,” University of Miami hurricane researcher Brian McNoldy said. And “it will really increase the amount of storm surge.”
Ian’s forward movement slowed over the Gulf, enabling the hurricane to grow wider and stronger, and its predicted path shifted slightly southward. That would likely spare Tampa and St. Petersburg their first direct hit by a major hurricane since 1921.
Instead, the most damaging winds could hit a rapidly developing coastline where the population has jumped sevenfold since 1970, according to the U.S. Census, which shows Lee County has seen the eighth largest population growth among more than 180 Atlantic and Gulf coast counties in the past 50 years.
There were 250,000 people in the Fort Myers/Lee County mandatory evacuation zones, and authorities worried ahead of the storm that only 10% or so would leave.
Gil Gonzalez wasn’t taking any chances. He boarded the windows of his Tampa home with plywood and laid down sandbags to guard against any flooding. He and his wife packed their car with bottled water, flashlights, battery packs for their cellphones and a camp stove before evacuating.
“All the prized possessions, we’ve put them upstairs in a friend’s house,” Gonzalez said.
Airports in Tampa, St. Petersburg and Key West closed, as did Disney World theme parks and Sea World in Orlando ahead of the storm.
A couple from England on vacation in Tampa found themselves faced with riding out the storm at a shelter. Glyn and Christine Williams of London were told to leave their hotel near the beach when evacuations were ordered. Because the airport shut down, they could get no flight home.
“Unfortunately, all the hotels are full or closed, so it looks as though we’re going to be in one of the shelters,” Christine Williams said.
Her husband insisted all would be fine. “You know, you got to go with the flow,” Glyn Williams said. “So we’re quite happy doing what we’re doing.”
The precise location of landfall was still uncertain, but with Ian’s tropical storm-force winds extending 175 miles (280 kilometers) from its center, flash floods were possible across the whole state. Parts of Florida’s east coast faced a storm surge threat as well, and isolated tornadoes were spinning off the storm well ahead of landfall. One tornado damaged small planes and a hangar at the North Perry Airport, west of Hollywood along the Atlantic coast.
Florida Power and Light warned those in Ian’s path to brace for days without electricity. As a precaution, hundreds of residents were being evacuated from several nursing homes in the Tampa area, where hospitals also were moving some patients.
Parts of Georgia and South Carolina also could see flooding rains and some coastal surge into Saturday. Georgia Gov. Brian Kemp preemptively declared an emergency, ordering 500 National Guard troops onto standby to respond as needed.
Before turning toward Florida, Ian struck Cuba’s Pinar del Rio province with sustained winds of 125 mph (205 kph) and causing destruction in the island nation’s world-famous tobacco belt. No deaths were reported.
Local government station TelePinar reported heavy damage at the main hospital in Pinar del Rio city, tweeting photos of collapsed ceilings, widely flung debris and toppled trees. Some people left the stricken area on foot, carrying their children, while buses tried to evacuated others through waterlogged streets. Others opted to stay at their damaged houses.
“It was horrible,” said Yusimi Palacios, a resident of Pinar del Rio inside her damaged house. “But here we are alive, and I only ask the Cuban revolution to help me with the roof and the mattress.”
Sign up for the Fortune Features email list so you don’t miss our biggest features, exclusive interviews, and investigations.












